Chapter 3 - Special Regulations Applying to FRESH Food Stores
GENERAL PURPOSES
The provisions of this Chapter establish special regulations that guide the development of FRESH food stores to promote and protect public health, safety and general welfare. These general goals include, among others, the following purposes:
(a) encourage a healthy lifestyle by facilitating the development of FRESH food stores that sell a healthy selection of food products;
(b) provide greater incentives for FRESH food stores to locate in neighborhoods underserved by such establishments;
(c) encourage FRESH food stores to locate in locations that are easily accessible to nearby residents; and
(d) strengthen the economic base of the City, conserve the value of land and buildings, and protect the City’s tax revenues.
Definitions
FRESH food store
A “FRESH food store” is a food store use as listed in Section 32-15 (Use Group 6), where at least 6,000 square feet of floor area, or cellar space utilized for retailing, is utilized for the sale of a general line of food and non-food grocery products, such as dairy, canned and frozen foods, fresh fruits and vegetables, fresh and prepared meats, fish and poultry, intended for home preparation, consumption and utilization. Such retail space utilized for the sale of a general line of food and non-food grocery products shall be distributed as follows:
(a) at least 3,000 square feet or 50 percent of such retail space, whichever is greater, shall be utilized for the sale of a general line of food products intended for home preparation, consumption and utilization; and
(b) at least 2,000 square feet or 30 percent of such retail space, whichever is greater, shall be utilized for the sale of perishable goods that shall include dairy, fresh produce, frozen foods and fresh meats, of which at least 500 square feet of such retail space shall be designated for the sale of fresh produce.
A food store shall be certified as a FRESH food store by the Chairperson of the City Planning Commission, pursuant to Section 63-30 (CERTIFICATION FOR A FRESH FOOD STORE).
Applicability
The regulations of all other chapters of this Resolution are applicable, except as superseded, supplemented or modified by the provisions of this Chapter. In the event of a conflict between the provisions of this Chapter and other regulations of this Resolution, the provisions of this Chapter shall control.
(a) The provisions of this Chapter shall apply to all Commercial and Manufacturing Districts in the following FRESH food store designated areas, except as provided in paragraph (b) of this Section:
(1) in the Borough of the Bronx, Community Districts 1, 2, 3, 4, 5, 6 and 7, except portions of Community District 7, as shown on Map 1 in Appendix A of this Chapter;
(2) in the Borough of Brooklyn, Community Districts 3, 4, 5, 8, 9, 16 and 17, except portions of Community District 8, as shown on Map 2 in Appendix A;
(3) in the Borough of Manhattan, Community Districts 9, 10, 11 and 12, except portions of Community District 9 and 12, as shown on Maps 3 and 4 in Appendix A; and
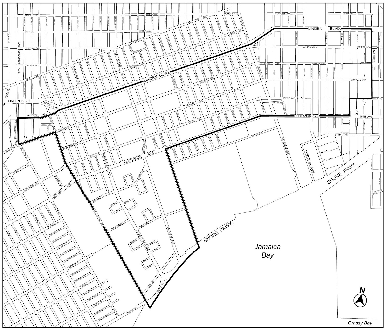
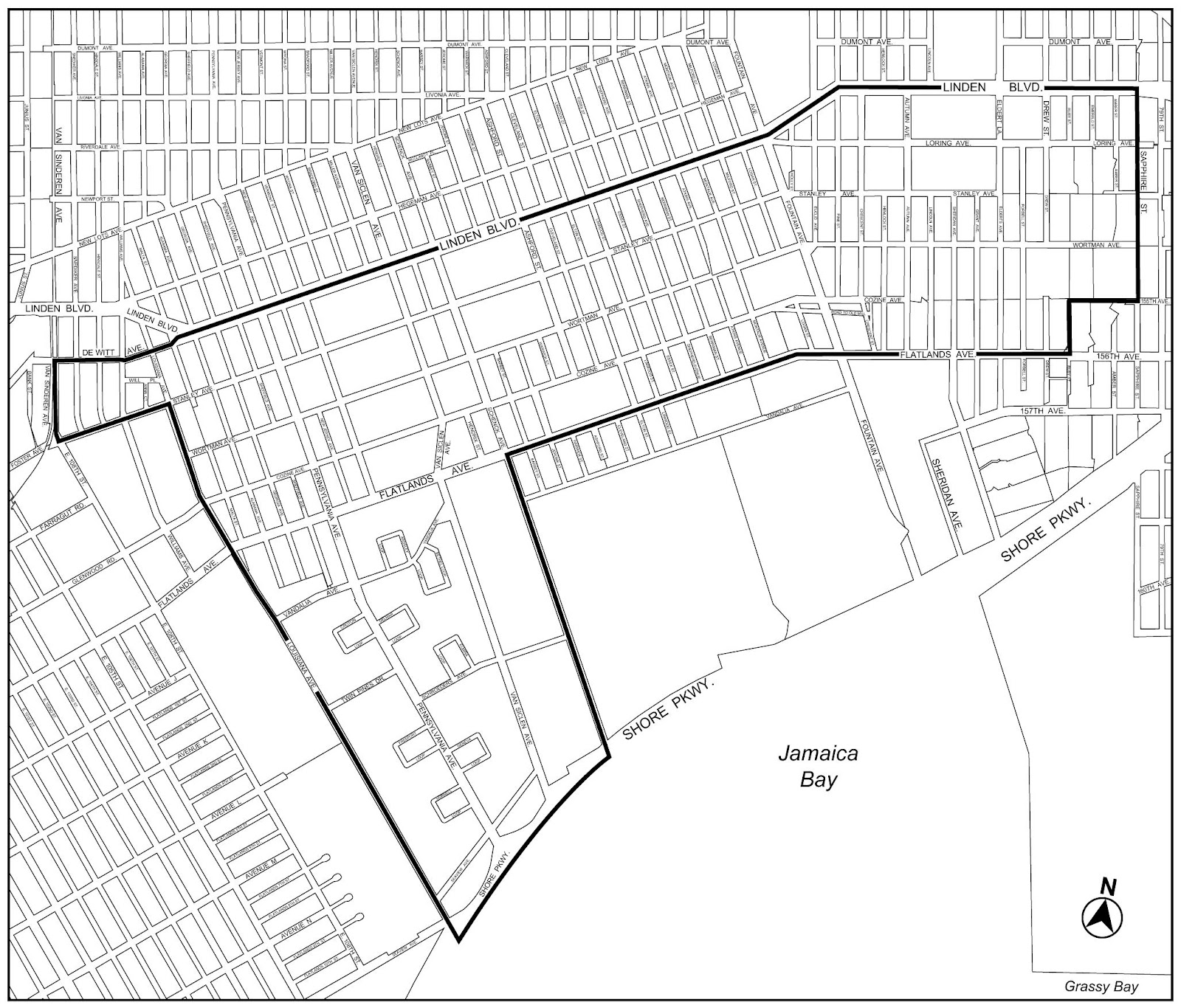
(4) in the Borough of Queens, the Special Downtown Jamaica District; portions of Community District 12 outside of the Special Downtown Jamaica District, except those portions shown on Maps 5 and 6 in Appendix A; and those portions in Community District 1 shown on Map 1 in Appendix B of this Chapter.
(b) The provisions of this Chapter shall not apply to the following Special Purpose Districts:
Special Madison Avenue Preservation District;
Special Manhattanville Mixed Use District;
Special Park Improvement District; and
Special Hunts Point District.
SPECIAL USE REGULATIONS
In M1 Districts, the regulations of Section 42-12 (Use Groups 3A, 6A, 6B, 6D, 6F, 7B, 7C, 7D, 7E, 8, 9B, 9C, 10A, 10B, 10C, 11, 12A, 12C, 12D, 12E, 13, 14 and 16) are modified to permit FRESH food stores with up to 30,000 square feet of floor area. The provisions of this Section shall not apply where the regulations of the underlying district permit Use Group 6A food stores with floor area greater than 30,000 square feet.
Special Sign Regulations
All permitted signs shall be subject to the provisions of the sign regulations of the underlying districts. In addition, a FRESH food store shall provide signage pursuant to this Section.
A sign comprised of the FRESH food store symbol as provided in the Required Signage Symbols file at the Department of City Planning website shall be mounted on an exterior building wall adjacent to and no more than five feet from the principal entrance of the FRESH food store. The sign shall be placed so that it is directly visible, without any obstruction, to customers entering the FRESH food store, and at a height no less than three feet and no more than five feet above the adjoining grade. Such FRESH food store symbol shall be no less than 12 inches by 12 inches and no more than 16 inches by 16 inches in size and shall be fully opaque, non-reflective and constructed of permanent, highly durable materials.
Where a FRESH food store is provided on a zoning lot, the provisions of Section 35-31 (Maximum Floor Area Ratio) relating to the maximum permitted floor area ratio on a zoning lot for each permitted use shall apply as modified in this Section.
Where all non-residential uses on a zoning lot have a permitted floor area ratio equal to or less than that permitted for a residential use and for zoning lots containing Quality Housing buildings, the total floor area permitted for such zoning lot may be increased by one square foot of residential floor area for each square foot of FRESH food store floor area, up to 20,000 square feet.
Where any non-residential use on such zoning lot has a permitted floor area ratio greater than that permitted for a residential use, the total residential floor area permitted for such zoning lot may be increased by one square foot for each square foot of FRESH food store floor area, up to 20,000 square feet, provided the total floor area of the building does not exceed the maximum permitted floor area for a non-residential use.
Where a FRESH food store is provided on a zoning lot, the provisions of Section 123-64 (Maximum Floor Area Ratio and Lot Coverage Requirements for Zoning Lots Containing Mixed Use Buildings) relating to the maximum permitted floor area ratio on a zoning lot for each permitted use shall apply, as modified in this Section.
Where all non-residential uses on such zoning lot have a permitted floor area ratio equal to or less than that permitted for a residential use, and for zoning lots containing Quality Housing buildings, the total floor area permitted for such zoning lot may be increased by one square foot of residential floor area for each square foot of FRESH food store floor area, up to 20,000 square feet.
Where any non-residential use on such zoning lot has a permitted floor area ratio greater than that permitted for a residential use, the total residential floor area permitted for such zoning lot may be increased by one square foot for each square foot of FRESH food store floor area, up to 20,000 square feet, provided the total floor area of the building does not exceed the maximum permitted floor area for a non-residential use.
For buildings containing a FRESH food store, the City Planning Commission may authorize modifications to Sections 35-65 (Height and Setback Requirements for Quality Housing Buildings)and 123-66 (Height and Setback Regulations) to allow the applicable maximum building height to be increased by up to 15 feet, provided that the first story occupied by a FRESH food store has a minimum finished floor to finished ceiling height of 14 feet, and provided that such finished ceiling height is at least 14 feet above the base plane or curb level, as applicable.
In order to grant such authorizations, the Commission shall find that:
(a) such modifications are necessary to accommodate a first story utilized as a FRESH food store;
(b) the proposed modifications shall not adversely affect the essential scale and character of the adjacent buildings and any adjacent historic resources; and
(c) the proposed modifications will not unduly obstruct access to light and air of adjacent properties.
The Commission may prescribe additional appropriate conditions and safeguards to minimize adverse effects on the character of the surrounding area.
For all FRESH food stores, the ground floor level of the street wall fronting upon a “primary street frontage”, as defined in Section 37-311, shall be glazed in accordance with the provisions of Section 37-34 (Minimum Transparency Requirements).
Furthermore, for buildings with frontage on two or more streets, the Chairperson of the City Planning Commission may certify that the glazing requirements of this Section shall only be applicable to the street wall fronting upon the principal street, as determined by the Chairperson.
In addition, the Chairperson may, by certification, allow a reduction in the glazing requirements of this Section, provided that the Chairperson finds that such mixed building, or mixed use building as defined in Section 123-11, is a recipient of public funding as defined in Section 23-911 (General definitions).
(a) In C1-1, C1-2, C1-3, C2-1, C2-2, C2-3 and C4-3 Districts, the accessory off-street parking regulations in Section 36-20 (REQUIRED ACCESSORY OFF-STREET PARKING SPACES FOR COMMERCIAL OR COMMUNITY FACILITY USES) applicable to a C1-4 District shall apply to any FRESH food store.
(b) In the Borough of Brooklyn, in those portions of Community District 5 located south of Flatlands Avenue and east of the centerline prolongation of Schenck Avenue, and in the Borough of Queens, where applicable in Community District 12 outside of the Special Downtown Jamaica District, a FRESH food store shall provide accessory off-street parking spaces as required for uses in parking requirement category B in the applicable Commercial and Manufacturing Districts.
(c) In C8-1, C8-2, M1-1, M1-2 and M1-3 Districts, a FRESH food store shall provide one parking space per 1,000 square feet of floor area or cellar space utilized for retailing, up to a maximum of 15,000 square feet. The underlying off-street parking regulations in Sections 36-20 or 44-20 shall apply to the floor area or cellar space, in excess of 15,000 square feet, utilized for retailing in such FRESH food store.
(d) The provisions of this Section shall not apply to:
(1) in the Borough of the Bronx, portions of Community District 7 and in the Borough of Manhattan, portions of Community District 12, as shown on Map 1 in Appendix C of this Chapter;
(2) in the Borough of Brooklyn, portions of Community District 5, as shown on Map 2 in Appendix C;
(3) in the Borough of Brooklyn, portions of Community Districts 16 and 17, as shown on Map 3 in Appendix C; and
(4) in the Borough of Queens, the Special Downtown Jamaica District.
Upon application, the Chairperson of the City Planning Commission shall certify that a food store use is a FRESH food store, provided that:
(a) drawings have been submitted to the Chairperson that clearly specify:
(1) all floor area or cellar space utilized as a FRESH food store, showing in the form of an illustrative layout that such designated space is designed and arranged to meet the requirements for food and non-food grocery products, pursuant to Section 63-01;
(2) all floor area that will result from any permitted increase in floor area, pursuant to Section 63-21, including the location of such floor area;
(3) the size, format and location of the required sign, pursuant to Section 63-12, including detailed information about dimensions of the sign, lettering, color and materials; and
(4) the location of the ground floor level street wall fronting upon a principal street, pursuant to Section 63-23;
(b) a signed lease or written commitment from the prospective operator of the FRESH food store has been provided in a form acceptable to the Chairperson for utilization of such floor area or cellar space and its operation as a FRESH food store; and
(c) a legal commitment, in the form of a declaration of restrictions has been executed, in a form acceptable to the Department of City Planning, binding upon the owner and its successor and assigns, and providing for continued utilization of all floor area or cellar space as a FRESH food store, the operation of which shall commence within a reasonable period following the issuance of a temporary certificate of occupancy for the floor area or cellar space to be utilized by the FRESH food store.
Such declaration of restrictions shall provide that the legal commitment for continued occupancy of the floor area or cellar space as a FRESH food store shall not apply during any:
(1) six (6) month period from the date such floor area or cellar space is vacated by the operator, provided that the owner timely notifies the Department of City Planning of such vacancy in accordance with the requirements of the restrictive declaration; or
(2) event of force majeure, as determined by the Chairperson.
The filing and recordation of the declaration of restrictions in the Office of the City Register of the City of New York against all tax lots comprising the FRESH food store, and receipt of proof of recordation of such declaration in a form acceptable to the Department, shall be a precondition to the issuance of any building permit, including any foundation or alteration permit, for any development or enlargement under this Chapter.
In granting the certification, the Chairperson may specify that minor changes in store layout consistent with the definition of a FRESH food store shall not warrant further certification pursuant to this Section.
No later than the date on which an application for certification is first submitted, a copy of the drawings submitted pursuant to paragraph (a) of this Section shall be submitted by the applicant to the affected Community Board, which shall have 45 days to review said application. The Chairperson shall not issue a certification for an application during the Community Board review period, unless the Community Board has submitted to the Chairperson comments regarding such proposal or informed the Chairperson that the Community Board has no comments.
No certificate of occupancy shall be issued for any portion of the development or enlargement identified in the drawings submitted pursuant to paragraph (a)(2) of Section 63-30 until a temporary certificate of occupancy has been issued for the FRESH food store space. No final certificate of occupancy shall be issued for any such portion of the development or enlargement identified in such drawings until the FRESH food store space has been completed in accordance with the drawings submitted pursuant to paragraph (a)(1) of Section 63-30 and a final certificate of occupancy has been issued for the FRESH food store space. The declaration of restrictions shall be noted on any temporary or final certificate of occupancy for the building.
A FRESH food store for which a certification has been issued pursuant to Section 63-30 may be changed to any use permitted by the underlying district upon certification by the Chairperson of the City Planning Commission that such change of use would not create a new non-compliance, increase the degree of non-compliance of buildings on the zoning lot, or result in reduction in the number of required accessory off-street parking spaces under the applicable district regulations.
If a certification pursuant to this Section is granted, a notice of cancellation, in a form acceptable to the Department of City Planning, of the declaration of restrictions recorded pursuant to Section 63-30 shall be executed and recorded in the Office of the City Register of the City of New York against all tax lots comprising the former FRESH food store.
The City Planning Commission may, by authorization, permit modifications to the bulk and accessory off-street parking requirements of the applicable zoning districts when a change of use of a FRESH food store for which a certification has been issued, pursuant to Section 63-30, would create a new non-compliance, increase the degree of non-compliance of buildings on the zoning lot, or result in a reduction in the number of required accessory off-street parking spaces under the applicable district regulations, provided that such use is permitted by the underlying districts.
In order to grant such authorization, the Commission shall find that:
(a) due to the market conditions prevalent at the time of the application, there is no reasonable possibility that the operation of a FRESH food store will bring a reasonable return;
(b) the applicant, the operator or a prior operator of such FRESH food store has not created or contributed to such unfavorable market conditions;
(c) the applicant, the operator or a prior operator of such FRESH food store has undertaken commercially reasonable efforts to secure a new operator, and demonstrates to the Commission that such efforts have been unsuccessful;
(d) any proposed non-compliance or increase in the degree of non-compliance will not be incompatible with or adversely affect adjacent uses, including uses within the building; and
(e) any reduction of required accessory off-street parking shall not create or contribute to serious traffic congestion and will not unduly inhibit surface traffic and pedestrian movement.
If such authorization is granted, a notice of cancellation, in a form acceptable to the Department of City Planning, of the declaration of restrictions recorded pursuant to Section 63-30, shall be executed and recorded in the Office of the City Register of the City of New York against all tax lots comprising the former FRESH food store.
In issuing an authorization under this Section, the Commission may impose conditions and safeguards to minimize adverse impacts on the character of the surrounding area.
COMPLIANCE
No later than June 30th of the year, beginning in the first calendar year following the calendar year in which certification was made, and at three-year intervals thereafter, the Chairperson of the City Planning Commission shall be provided with an affidavit, in a form acceptable to the Department of City Planning, regarding compliance with the requirements of the declaration of restrictions and the regulations of this Chapter, as of a date of inspection which shall be no earlier than June 1st of the year in which the affidavit is filed. Such affidavit shall be provided by the owner(s) of the tax lot(s) on which the FRESH food store is located. Such affidavit shall include, without limitation:
(a) a copy of the original FRESH food store certification letter and, if applicable, any approval letter pertaining to any other authorization or certification pursuant to this Chapter;
(b) a statement that the floor area or cellar space that was certified to be operated as a FRESH food store continues to be operated as such in accordance with the declaration of restrictions; and
(c) photographs documenting the condition of the FRESH food store at the time of inspection, sufficient to clearly show all floor area or cellar space operated as a FRESH food store.
Failure to comply with a condition or restriction in an authorization or certification granted pursuant to this Chapter or with approved plans related thereto, or failure to submit a required compliance report, shall constitute a violation of this Resolution and may constitute the basis for denial or revocation of a building permit or certificate of occupancy, or for a revocation of such authorization or certification, and for the implementation of all other applicable remedies.
Appendix A
FRESH Food Store Designated Areas: Excluded Portions
The FRESH food store designated areas are listed by community district and borough in Section 63-02 (Applicability). Excluded portions of community districts are shown on the following maps.
Map 1. Excluded portions of Community District 7, the Bronx
Map 2. Excluded portions of Community District 8, Brooklyn
Map 3. Excluded portions of Community District 9, Manhattan
Map 4. Excluded portions of Community District 12, Manhattan
Map 5. Excluded portions of Community District 12, Queens
Map 6. Excluded portions of Community District 12, Queens
Appendix B
FRESH Food Store Designated Areas: Included Portions
The FRESH food store designated areas are listed by community district and borough in Section 63-02 (Applicability). When a FRESH food store designated area occupies only a portion of a community district, the included portions of such community districts are shown on the following maps:
Map 1. Included portions of Community District 1, Queens










© Copyright 2019. City of New York.