Appendix F - Queens
Queens Community District 1
Map 1 - (3/10/26)
Portion of Community District 1, Queens
Map 2 – (7/29/09)
Portion of Community District 1, Queens
Map 3 – (12/9/21)

Portion of Community District 1, Queens
Map 4 – (10/31/18)

Portion of Community District 1, Queens
Map 5 – (11/22/22)
Portion of Community District 1, Queens
[Maps 6 and 7 have been incorporated into composite Map5 per N 220367 ZRQ, adopted 22nd November, 2022]
Map 8 – (4/11/24)
Portion of Community District 1, Queens
Map 9 - (8/14/25)
Portion of Community District 1, Queens
[Maps 9 and 11 have been incorporated into composite Map 9 per N 240224 ZRQ, adopted 14th August, 2025]
Map 10 - (10/12/22)
Portion of Community District 1, Queens
Map 12 - (10/29/25)
Portion of Community District 1, Queens
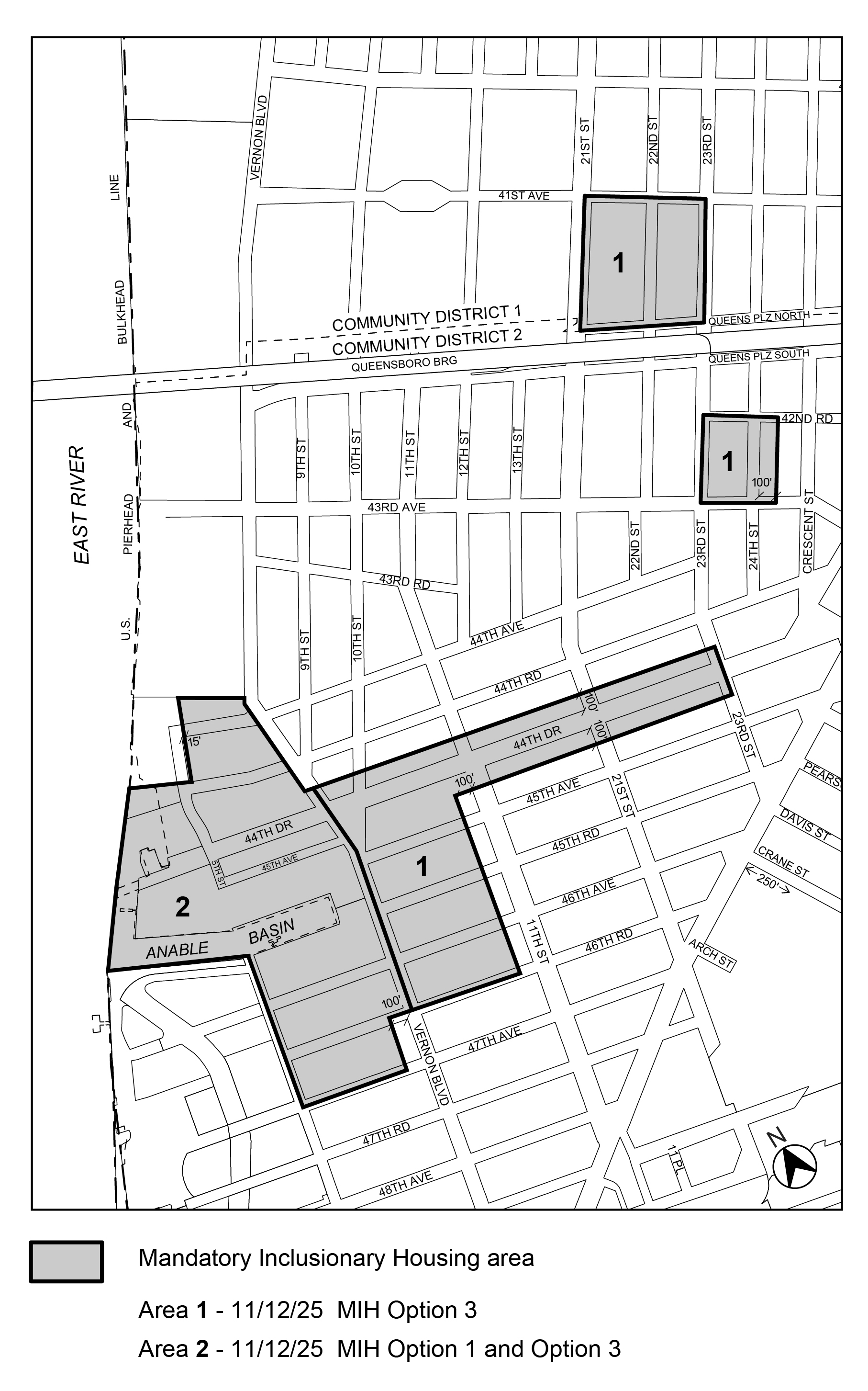
Queens Community Districts 1 and 2
Map 1 - (11/12/25)
Portion of Community Districts 1 and 2, Queens
Queens Community District 2
Map 1 - (8/27/20)
Portion of Community District 2, Queens
Map 2 - (4/22/20)

Portion of Community District 2, Queens
Map 3 – (7/29/09)
Portion of Community District 2, Queens
Map 4 - (3/25/21)
Portion of Community District 2, Queens
Map 5 - (10/21/21)
Portion of Community District 2, Queens
Map 6 - (2/24/26)
Portion of Community District 2, Queens
Queens Community District 3
Map 1 - (6/21/17)
Portion of Community District 3, Queens
Queens Community District 4
Map 1 - (11/19/20)
Portion of Community District 4, Queens
Map 2 - (11/12/25)
Portion of Community District 4, Queens
Queens Community District 6
Map 1 - (2/2/23)
Portion of Community District 6, Queens
Map 2 - (3/18/21)
Portion of Community District 6, Queens
Map 3 - (5/12/21)
Portion of Community District 6, Queens
Map 4 - (5/1/25)
Portion of Community District 6, Queens
Queens Community District 7
Map 1 - (6/21/16)

Portion of Community District 7, Queens
Map 2 - (10/17/17)
Portion of Community District 7, Queens
Map 3 - (12/10/20)
Portion of Community District 7, Queens
Map 4 – (2/8/24)
Portion of Community District 7, Queens
Map 5 – (2/13/25)
Portion of Community District 7, Queens
Queens Community District 8
Map 1 – (11/23/21)

Portion of Community District 8, Queens
Map 2 – (7/14/22)
Portion of Community District 8, Queens
Queens Community Districts 8 and 12
Map 1 – (10/29/25)
Portion of Community Districts 8 and 12, Queens
Queens Community District 10
Map 1 – (12/15/21)
Portion of Community District 10, Queens
Map 2 – (2/12/26)
Portion of Community District 10, Queens
Queens Community District 11
Map 1 – (3/13/19)

Portion of Community District 11, Queens
Map 2 - (2/24/26)
Portion of Community District 11, Queens
Queens Community District 12
Map 1 – (10/17/17)

Portion of Community District 12, Queens
Map 2 - (5/25/23)
Portion of Community District 12, Queens
Map 3 - (10/10/24)
Portion of Community District 12, Queens
Map 4 - (3/26/25)
Portion of Community District 12, Queens
Queens Community District 14
Map 1 - (10/13/16)
Portion of Community District 14, Queens
Map 2 - (3/10/26)
Portion of Community District 14, Queens
Map 3 - (7/14/22)
Portion of Community District 14, Queens
Map 4 - (8/26/21)
Portion of Community District 14, Queens
Map 5 - (8/3/23)
Portion of Community District 14, Queens




































