Appendix F - Staten Island
Staten Island Community District 1
Map 1 - (7/20/17)

Portion of Community District 1, Staten Island
Map 2 - (12/21/23)
Portion of Community District 1, Staten Island
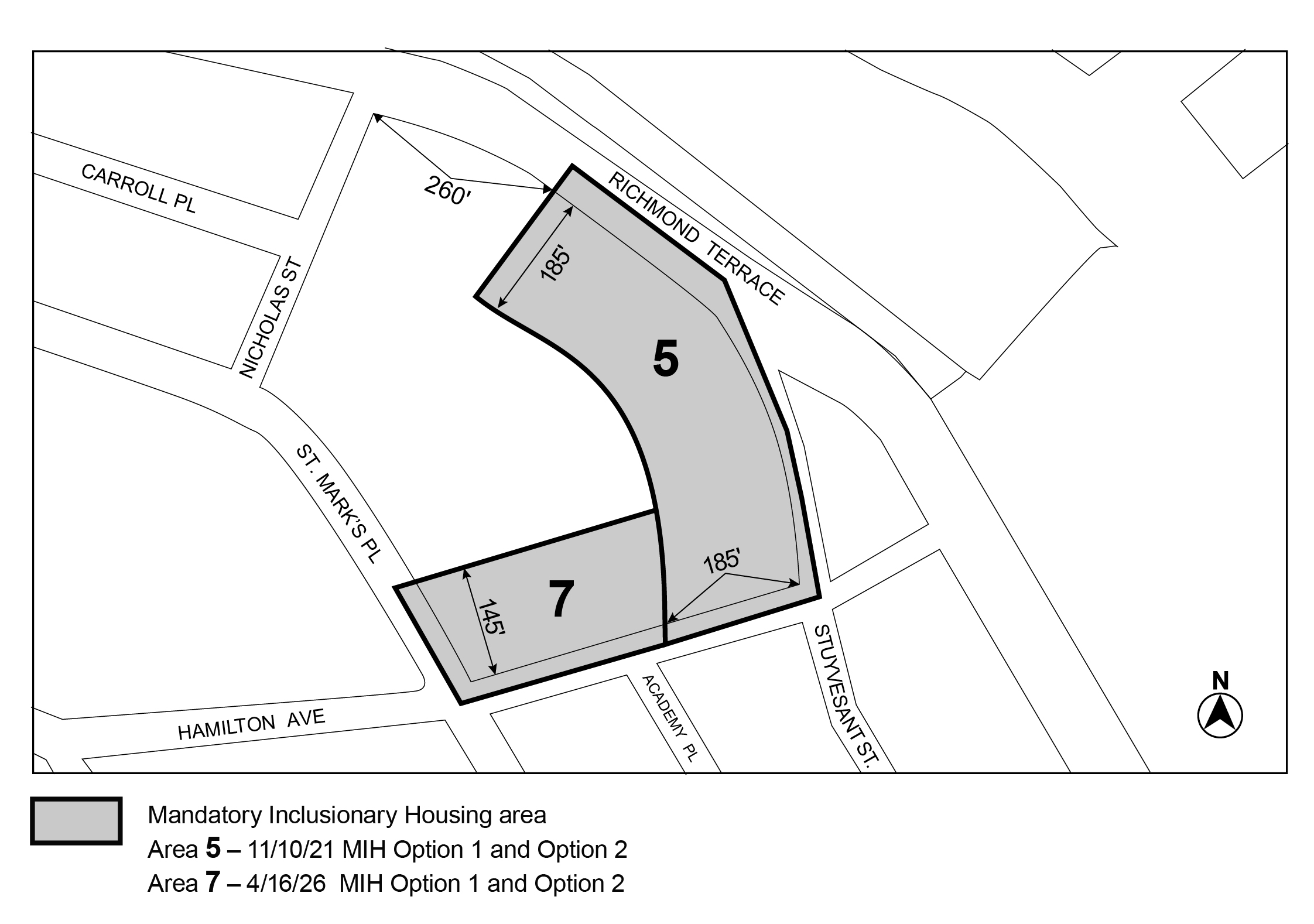
Map 3 - (4/16/26)
Portion of Community District 1, Staten Island


